*
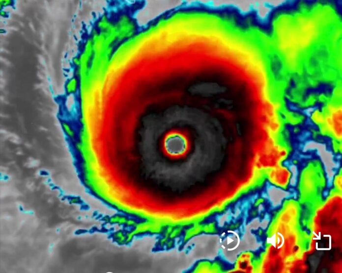
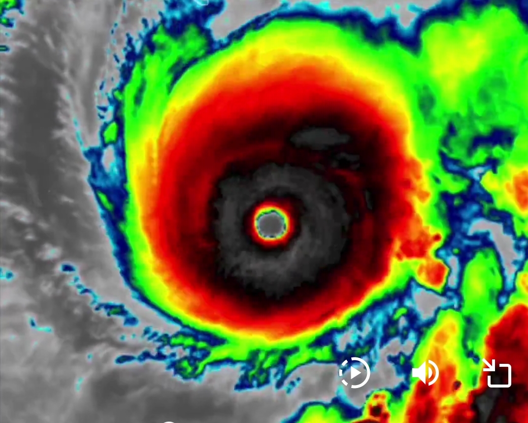
27.10.2025 El huracán Melissa se ha intensificado rápidamente hasta convertirse en un fenómeno de categoría 5 en la escala Saffir-Simpson, con vientos sostenidos de hasta 280 km/h, según el Centro Nacional de Huracanes (NHC) de Estados Unidos. Este ciclón representa una amenaza directa para Jamaica, Cuba, Haití, República Dominicana, Bahamas y otras islas del Caribe.
Detalles clave del huracán Melissa:
– Categoría actual: 5 (máxima en la escala Saffir-Simpson)
– Velocidad de los vientos: hasta 280 km/h
– Ubicación actual: a unos 205 km al sur-suroeste de Kingston, Jamaica y 505 km al sur-suroeste de Guantánamo, Cuba
– Trayectoria prevista: tocará tierra en Jamaica este lunes 27 de octubre por la noche y continuará hacia Cuba y Bahamas el martes y miércoles
Regiones en alerta máxima:
– Jamaica: se esperan vientos destructivos, marejadas ciclónicas e inundaciones catastróficas. Las autoridades han ordenado evacuaciones en zonas costeras y han habilitado refugios de emergencia
– Cuba: se prevé impacto directo en la región oriental, especialmente en Guantánamo. Las autoridades han iniciado preparativos para mitigar daños
– Haití y República Dominicana: aunque no recibirán el impacto directo, las bandas externas ya han causado cuatro muertes y han dejado a más de 647,000 personas sin acceso a agua potable
– Bahamas y Turcos y Caicos: han activado evacuaciones preventivas ante la posible trayectoria del huracán
Recomendaciones de las autoridades:
– Buscar refugio seguro de inmediato si se encuentra en zonas de riesgo
– Evitar desplazamientos innecesarios
– Mantenerse informado a través de canales oficiales y seguir las indicaciones de protección civil.

El huracán Melissa ha sido calificado como un monstruo meteorológico por su rápida intensificación y su potencial destructivo. Las autoridades internacionales y locales continúan monitoreando su evolución hora a hora.












