Etiqueta: Cuba
Claudia Sheinbaum descarta versiones de incremento en envíos de petróleo a...
*Afirma que se mantienen niveles históricos por acuerdos y ayuda humanitaria.
07.01.2025. Ciudad de México .- La presidenta de México, Claudia Sheinbaum Pardo, respondió a...
#Cuba: Condenan a 7 años de cárcel a opositor Alexander Verdecia...
*Foto: ADNBCuba alexander-verdecia.jpg
27.12.2025. Cuba.- El régimen cubano condenó a siete años de cárcel al opositor y preso político Alexander Verdecia Rodríguez, confirmó su esposa...
Congresista Giménez denuncia complicidad del gobierno mexicano con La Habana
*
06.11.2025.- El congresista cubanoamericano Carlos A. Giménez envió el martes una carta a los Departamentos de Estado y del Tesoro para denunciar la complicidad...
México reitera su solidaridad con Cuba en la ONU; EE.UU. responde...
*
29.10.2025 México.- En el marco de la votación anual de la Asamblea General de la ONU sobre el embargo a Cuba, el representante de...
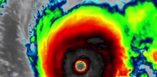
Huracán Melissa alcanza categoría 5: amenaza inminente para Jamaica, Cuba e...
*
27.10.2025 El huracán Melissa se ha intensificado rápidamente hasta convertirse en un fenómeno de categoría 5 en la escala Saffir-Simpson, con vientos sostenidos de...
Cacerolazos en Santiago de Cuba: estallan protestas por apagones y crisis...
*
18.10.2025 Santiago de Cuba.- En la noche del jueves, decenas de residentes de Baire, en el municipio Contramaestre de Santiago de Cuba, protagonizaron una...
Gobierno de México defiende envío de combustible a Cuba tras críticas...
*Sheinbaum afirma que se trata de ayuda humanitaria y rechaza que afecte la relación bilateral; los embarques se triplicaron en 2025 y se realizaron...
“La lucha continúa”: José Daniel Ferrer llega a Miami tras ser...
*
14.10.2025.- El líder opositor cubano José Daniel Ferrer llegó este 13 de octubre a Miami, tras ser desterrado junto a su familia por el...
Denuncian conexión Nicaragua-Cuba-Rusia en crimen político de exmilitar nicaragüense .
*
29.09.2025.- Claudia Vargas, viuda del mayor en retiro Roberto Samcam, denunció esta semana que el asesinato de su esposo en Costa Rica responde a...
Cuba descarta una guerra con EE.UU. para defender a Nicolás Maduro
*
27.09.2025. Habana, Cu.- El gobierno de Cuba dejó claro que, aunque mantiene su respaldo a Nicolás Maduro, no tiene pensado involucrarse en una guerra...




















