Etiqueta: Baja California
“Me chingué a tres gringos” confesó el delincuente a su pareja....
*Pese a su peligrosidad los asesinos permanecía en libertad en esa entidad.
09.05.2024.- “Me chingué a tres gringos, traían mucha feria y aparatos”, esta...
Defensoras de Baja California impugnan candidaturas indígenas usurpadas por hombres .
Escrito por Olga Laura Ochoa.
08.02.2024. Ciudad de México.- En el marco del actual Proceso Electoral Local Ordinario 2023-2024 en el estado de Baja California,...
Encuentra cuerpos cerca de donde desaparecieron surfistas australianos y de EEUU...
*Los jóvenes cruzaron la frontera con el objetivo de surfear en sus playas y desaparecieron el mismo día.
* Realizaran exámenes de ADN a los...
Ordenan a AMLO bajar su entrevista con periodista rusa. Acusa censura.
*
14.03.2024 Ciudad de México.- La Comisión de Quejas y Denuncias del Instituto Nacional Electoral (INE) conoció 8 proyectos de medidas cautelares solicitadas por diversos...
Tras dos semanas de la muerte de soldados novatos, la Sedena...
*En un video se viraliza el incidente y se cree los sometieron a una novatada.
05.03.2024.- Posterior a dos semanas de búsqueda el cuerpo del...
Angelita Meraz León, buscadora de desaparecidos, es acribillada en Tijuana Baja...
*
09.02.204 Tecate, B.C.- Angela León, mejor conocida como “Angelita", fue ultimada con arma de fuego en su negocio de salón de belleza este jueves,...
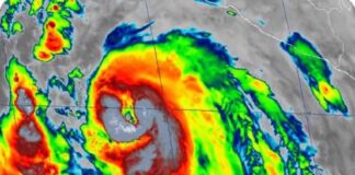
Norma alcanza categoría 4; podría impactar BCS y Sinaloa.
**Del 19 al 22 de octubre se esperan lluvias acumuladas de 150 a 200 mm en Jalisco, Nayarit y Sinaloa, así como de 100...
Atrapan al feminicida de la Dra. Alí Jasel Suárez Reyes en...
*
24.09.2023.- El Instituto Mexicano del Seguro Social (IMSS) anunció la detención de Martín Heriberto 'N', el presunto feminicida de la doctora Ali Jasel Suárez...
Hillary ya es huracán categoría 1:ocasionará lluvia en todo el país.
17.08.2023. México - ‘Hilary’ se intensificó a huracán de categoría 1 en la escala Saffir-Simpson, informó el Servicio Meteorológico Nacional (SMN).
El huracán Hillary se...
Regidora exhibe protección de Tribunal de Baja California a alcalde que...
*Escrito por Berenice Chavarría Tenorio .
27.06.2023 /CimacNoticias.com/ Ensenada B.C. .- Brenda Aracely Valenzuela Tortoledo, regidora en Ensenada, Baja California, exige sanción contra el alcalde Armando...




















